Hurricane Ida could be among strongest to hit Louisiana since 1850s, governor warns
Gridlock as New Orleans residents fled on Saturday night
Gridlock as New Orleans residents fled on Saturday night
Category 4 storm forecast to hit Sunday afternoon

Interstate 10 is packed with evacuees heading east on Saturday as Hurricane Ida approaches. Photograph: Scott Threlkeld/AP
Oliver Laughland in New Orleans
@oliverlaughland
Sun 29 Aug 2021 04.52 BST
As Hurricane Ida barrelled towards the Louisiana coast, residents braced for a storm of potentially historic proportions due to arrive on the 16th anniversary of Katrina, the brutal hurricane that claimed more than 1,800 lives on America’s Gulf coast.
National Hurricane Centre officials said Ida had strengthened to a category 3 hurricane over the Gulf of Mexico early on Sunday morning. It is forecast to make landfall on Sunday afternoon as a potential category 4 hurricane with sustained winds of 130mph (210 km/h), life-threatening storm surges and heavy rain.
Oliver Laughland in New Orleans
@oliverlaughland
Sun 29 Aug 2021 04.52 BST
As Hurricane Ida barrelled towards the Louisiana coast, residents braced for a storm of potentially historic proportions due to arrive on the 16th anniversary of Katrina, the brutal hurricane that claimed more than 1,800 lives on America’s Gulf coast.
National Hurricane Centre officials said Ida had strengthened to a category 3 hurricane over the Gulf of Mexico early on Sunday morning. It is forecast to make landfall on Sunday afternoon as a potential category 4 hurricane with sustained winds of 130mph (210 km/h), life-threatening storm surges and heavy rain.
State officials warned that Ida was likely to become one of the worst hurricanes in the history of Louisiana, a region known for torrid weather events.

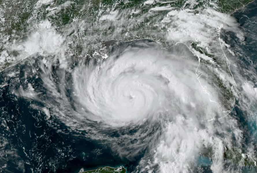
A satellite image of Hurricane Ida from 9pm on Saturday. Photograph: NOAA/GOES/AFP/Getty Images
“This will be one of the strongest hurricanes to hit anywhere in Louisiana since at least the 1850s,” said Louisiana governor John Bel Edwards at a press conference on Saturday. “We can also tell you your window of time is closing. It is rapidly closing.”

Hurricane Ida: thousands evacuate from New Orleans as storm bears down
Tens of thousands of residents in coastal communities in south-east Louisiana were under mandatory evacuation orders. In New Orleans, the city placed those living outside the levee protection system under mandatory evacuation and urged all others to leave voluntarily. There was gridlock on the main highway leaving the city and vast queues at the Louis Armstrong international airport, as officials announced all flights would be cancelled on Sunday.
It was 29 August 2005 when New Orleans and other communities in the region were decimated by Katrina and the subsequent government failures in response. Hundreds of thousands of homes were lost after the city’s levee system failed, leading to catastrophic flooding. The city took years to recover.
On Saturday, Edwards pointed to billions of dollars in federal government investment in the city’s levees to argue the city was better prepared over a decade later.
“We’re not the same state we were 16 years ago,” Edwards said. “This system is going to be tested. The people of Louisiana are going to be tested. But we are resilient and tough people. And we’re going to get through this.”
“This will be one of the strongest hurricanes to hit anywhere in Louisiana since at least the 1850s,” said Louisiana governor John Bel Edwards at a press conference on Saturday. “We can also tell you your window of time is closing. It is rapidly closing.”

Hurricane Ida: thousands evacuate from New Orleans as storm bears down
Tens of thousands of residents in coastal communities in south-east Louisiana were under mandatory evacuation orders. In New Orleans, the city placed those living outside the levee protection system under mandatory evacuation and urged all others to leave voluntarily. There was gridlock on the main highway leaving the city and vast queues at the Louis Armstrong international airport, as officials announced all flights would be cancelled on Sunday.
It was 29 August 2005 when New Orleans and other communities in the region were decimated by Katrina and the subsequent government failures in response. Hundreds of thousands of homes were lost after the city’s levee system failed, leading to catastrophic flooding. The city took years to recover.
On Saturday, Edwards pointed to billions of dollars in federal government investment in the city’s levees to argue the city was better prepared over a decade later.
“We’re not the same state we were 16 years ago,” Edwards said. “This system is going to be tested. The people of Louisiana are going to be tested. But we are resilient and tough people. And we’re going to get through this.”
In downtown New Orleans the streets were eerily quiet on Saturday evening as the city braced for tropical storm force winds to arrive from Sunday morning. In the city’s historic French Quarter, businesses were boarded up and on Bourbon St, usually the centre of nightlife in the city on weekends, bars were deserted.

New Orleans resident Aha Hasan outside Buffa’s Lounge on Saturday. He plans to stay in the city as Hurricane Ida approaches. Photograph: Anne Ponton/The Guardian
Still, some businesses remained open. At Buffa’s, a 24-hour dive bar and jazz venue in the city’s Marigny neighborhood that is known for its decision to stay open during inclement weather, a steady stream of regulars came to drink and eat before the storm arrived.
Aha Hasan, a 25 year-old camera technician, sipped beer and drank shots before preparing to ride out the storm at his nearby third-floor apartment. Hasan was 10 years old when Katrina hit the city and still remembers it vividly.
“Every four years we get a bad one,” he said. “And everyone I know who’s been in this city for all these intense hurricanes aren’t going anywhere this time, so I decided to stay because of that.”
The Louisiana national guard has stationed 5,000 troops around the state in preparation for search and rescue missions. As officials warned of widespread power outages, 10,000 linesmen were on standby to respond.
Ida’s precise landfall location remains unclear, with hurricane warnings in effect from Intracoastal City in south Louisiana to New Orleans. Storm surge warnings extend into coastal Mississippi and Alabama.
Ida’s track shifted slightly to the east throughout Saturday, increasing the danger in New Orleans, where the National Weather Service projected wind of 110mph and up to 20 inches (510mm) of rain, leading to fears of major flash flooding in the city.
Still, some businesses remained open. At Buffa’s, a 24-hour dive bar and jazz venue in the city’s Marigny neighborhood that is known for its decision to stay open during inclement weather, a steady stream of regulars came to drink and eat before the storm arrived.
Aha Hasan, a 25 year-old camera technician, sipped beer and drank shots before preparing to ride out the storm at his nearby third-floor apartment. Hasan was 10 years old when Katrina hit the city and still remembers it vividly.
“Every four years we get a bad one,” he said. “And everyone I know who’s been in this city for all these intense hurricanes aren’t going anywhere this time, so I decided to stay because of that.”
The Louisiana national guard has stationed 5,000 troops around the state in preparation for search and rescue missions. As officials warned of widespread power outages, 10,000 linesmen were on standby to respond.
Ida’s precise landfall location remains unclear, with hurricane warnings in effect from Intracoastal City in south Louisiana to New Orleans. Storm surge warnings extend into coastal Mississippi and Alabama.
Ida’s track shifted slightly to the east throughout Saturday, increasing the danger in New Orleans, where the National Weather Service projected wind of 110mph and up to 20 inches (510mm) of rain, leading to fears of major flash flooding in the city.
No comments:
Post a Comment