A Human Tragedy Could Unfold With Hurricane Eta In Central America
Marshall Shepherd Senior Contributor FORBES Science

Photo of the aftermath of Hurricane Mitch AFP VIA GETTY IMAGES
Hurricane Eta is already an unprecedented storm. It represents the first time that we have used the Greek letter “Eta” in a storm name. Hurricane Eta is the fifth major hurricane (category 3 or greater) of the 2020 Atlantic hurricane season and the third major hurricane to form since October 1st. According to Colorado State University hurricane expert Phil Klotzbach on Twitter, “This is the first time on record that the Atlantic has had 3 major hurricane formations (e.g., storm first reached major hurricane strength) in October-November.” However, there is something more ominous than climatological records that worries me about Eta. A human tragedy could unfold as it makes landfall.

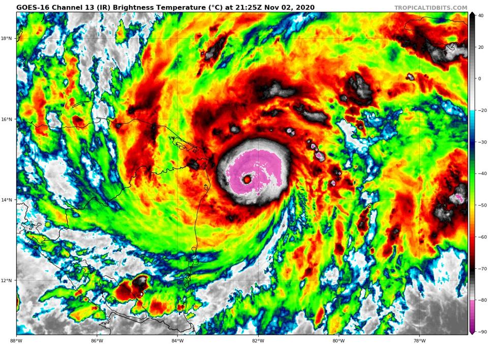
Hurricane Eta on Monday afternoon (November 2nd, 2020). NOAA AND TROPICALTIDBITS.COM
Eta, which rapidly intensified to a Category 4 storm on Monday afternoon, is expected to make landfall on Tuesday. The National Hurricane Center is sounding the alarms for a multi-hazard event, which includes potentially catastrophic winds and excessive rainfall. I want to specifically focus on the rainfall amounts. National Hurricane Center estimates are as follows:
Nicaragua and Honduras: 15 to 25 inches with isolated amounts of 35 inches.
Eastern Guatemala and Belize: 10 to 20 inches with isolated amounts of 25 inches.
Panama and Costa Rica: 10 to 15 inches with isolated amounts of 25 inches.
One particular concern about Hurricane Eta is the forward speed. The forecast map below illustrates that the storm will not move significantly after landfall. Between now and Wednesday, the storm is still sitting over regions of Nicaragua and Honduras. Even by Thursday, the weakened storm is projected to be over the region before moving back out over water by late Friday. Eta is just one more storm in what Weather Channel expert Rick Knabb calls Category “Slow” hurricanes like Harvey (2017), Florence (2018), or Sally (2020).

Forecast track for Hurricane Eta NOAA NHC
In the Monday afternoon National Hurricane Center Public Advisory, forecasters warn that, “This rainfall will lead to catastrophic, life-threatening flash flooding and river flooding, along with landslides in areas of higher terrain of Central America." Additionally, coastal regions of Nicaragua could experience storm surge water levels in the 12 to 18 feet above normal tide levels.

Topographic map of Central America NASA JPL
Richard Henning is a meteorologist and former graduate school classmate of mine at Florida State University. Henning is also a NOAA Hurricane Hunter. He reflected on Hurricane Mitch (1998) in a social media post. He wrote, “It (Eta) reminds me of late season Hurricane Mitch of 1998 that caused the deaths of more than 10,000 people in this same area.” Nearly 2 to 3 feet of rainfall falling on terrain like the map below is a recipe for disaster and the potential loss of human lives. Hurricane Mitch, which reached Category 5 status, caused over $5 billion in damages and was one of the deadliest storms in the Western Hemisphere, according to History.com
At the time of writing, Hurricane Eta was still in an intensification phase. There is nothing that guarantees that we will see scenarios like the region saw in 1998, but the similarities are in place.
Follow me on Twitter. Check out my website.
Marshall Shepherd
Dr. J. Marshall Shepherd, a leading international expert in weather and climate, was the 2013 President of American Meteorological Society (AMS) and is Director of the University of Georgia’s (UGA) Atmospheric Sciences Program. Dr. Shepherd is the Georgia Athletic Association Distinguished Professor and hosts The Weather Channel’s Weather Geeks Podcast, which can be found at all podcast outlets. Prior to UGA, Dr. Shepherd spent 12 years as a Research Meteorologist at NASA-Goddard Space Flight Center and was Deputy Project Scientist for the Global Precipitation Measurement (GPM) mission. In 2004, he was honored at the White House with a prestigious PECASE award. He also has received major honors from the American Meteorological Society, American Association of Geographers, and the Captain Planet Foundation. Shepherd is frequently sought as an expert on weather and climate by major media outlets, the White House, and Congress. He has over 80 peer-reviewed scholarly publications and numerous editorials. Dr. Shepherd received his B.S., M.S. and PhD in physical meteorology from Florida State University.
No comments:
Post a Comment